Seamos sinceros, el segundo título de Marc Márquez de MotoGP es algo que se da por hecho y la única incógnita, hoy, es cuando lo conseguirá. Las circunstancias han querido que Marc llegue al Gran Premio de Japón que se celebrará en Motegi con una ventaja de 75 puntos sobre el segundo clasificado, Dani Pedrosa. Con sólo cuatro carreras para el final de este apasionante campeonato, Marc se encuentra ante su primera gran oportunidad de hacerse doble campeón… y además, de hacerlo en casa de Honda.
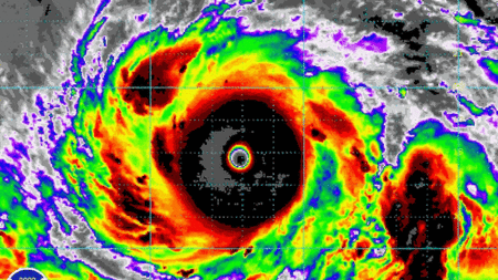
El piloto catalán tiene un amplio abanico de posibilidades para hacerse campeón del mundo (los repasamos todos después del salto), como por ejemplo simple y llanamente ganar la carrera. El problema no es sólo que los pilotos de Yamaha andan más inspirados y competitivos que nunca o que Jorge Lorenzo arrasara en 2013, sino que la previsión del tiempo cuenta que este fin de semana va a diluviar sobre tierra nipona. No es para menos, se espera la llegada del tifón Vongfong. Y ya sabemos que en condiciones adversas, las carreras de MotoGP se convierten en una lotería que premia al tipo con más suerte y agallas. Sea como fuere, los chicos de MotoGP nos cuentan los escenarios en los que Marc sería campeón:
Si Márquez gana la carrera.
Si Márquez termina segundo o tercero y por delante de Pedrosa y Rossi.
Si Márquez termina cuarto, por delante de Pedrosa y Rossi termina tercero o más retrasado.
Si Márquez termina quinto, por delante de Pedrosa y Rossi termina cuarto o más retrasado.
Si Márquez termina sexto, por delante de Pedrosa y Rossi termina cuarto o más retrasado.
Si Márquez acaba séptimo, por delante de Pedrosa, con Rossi quinto o peor y Lorenzo no gana la carrera.
Si Márquez termina entre las posiciones 8ª y 11ª, por delante de Pedrosa, con Rossi a no más de tres posiciones por delante y siempre que Lorenzo no gane la carrera
Si Márquez termina entre las posiciones 12ª y 15ª, por delante de Pedrosa, Rossi a no más de tres posiciones por delante y si Lorenzo no termina primero o segundo.
Si ni Márquez ni Pedrosa suman puntos, Rossi termina 13º o más retrasado y Lorenzo no sube al podio.
(Fuente: Motogp.com)
En otras palabras, Marc necesita mantener o ampliar su ventaja pues esos 75 puntos serían suficientes para mantenerlo en lo más alto incluso aunque se retirara en los tres últimos Grandes Premios y Dani Pedrosa se marcara un hattrick. En Japón, mientras tanto, se preparan para todo y es que la situación es delicada. Hace sólo unos días Jules Bianchi sufría un horrible accidente durante el GP de Japón bajo condiciones meteorológicas adversas: muchos indican que la carrera se tendría que haber detenido antes.
El cielo está lejos de dar un respiro y se espera que el súper-tifón Vongfong llegue al archipiélago durante los próximos días. Si la palabra tifón no asustara lo suficiente, hay medios que indican que será la tormenta más dura de lo que llevamos de año. Teniendo en cuenta estos puntos, me pregunto si las carreras llegaran si quiera a poder celebrarse. Nadie en su sano juicio se arriesgaría a dar cabida a otra desgracia.
Moto2: continúa la guerra Kallio-Rabat
Con "sólo" 33 puntos de ventaja, Tito Rabat aun tiene trabajo por hacer para poner la guinda a una gran temporada. El año pasado, Rabat se vio fuera de la carrera durante las primeras vueltas en una carrera que ganaría Pol Espargaró para hacerse campeón del mundo. En aquella carrera, Mika Kallio se subió al segundo cajón del podio. Mika debe darlo absolutamente todo para aprovechar este regalo de la climatología: si Tito cometería un fallo como el de Marc y Dani en Motorland, el finlandés pondría patas arriba la clasificación con una victoria.
Moto3: entretenimiento y drama asegurado
Con polémica o sin ella, el domingo de madrugada vamos a tener mucho de que hablar en Moto3. La cosa está así: Álex Márquez se ha puesto líder de la clasificación con 11 puntos sobre el segundo, Jack Miller, que abandonó en Motorland tras un adelantamiento de Márquez. Para colmo, Álex Rins, compañero de Márquez, está metido en la lucha hasta el cuello con 188 puntos. Además, las posibilidades matemáticas podrían hacer campeón a la mayor parte del top 10. A favor de Márquez, una buena racha y el recuerdo de la victoria en 2013. En Moto3 más que en ninguna otra categoría, la lluvia traerá un caos impredecible. ¡Suerte a todos!
Más información | MotoGP.com
Fotos vía | Repsol Honda, Marc VDS,
En Motorpasión Moto | GP Japón
Ver 7 comentarios
7 comentarios
christian0721
No se olviden de lo que paso en SBK,HONDA quiere ese título en japón y bien podría dar órdenes,casi prefiero que se haga campeón suspendiendo la carrera.ni MARC ni DANI se merecen eso.
sunboy38
Suena a que no va a haber carreras por el bien de todos y por sentido común.
Usuario desactivado
carreras de motos con un tifón... y un golpe casi mortal hace un fin de semana... no pinta a finde de carreras
si no se celebrara la carrera, Márquez seria entonces automáticamente campeón no? Menuda forma más rara de hacerlo. "Me hice bicampeón del mundo sentado en una silla, viendo llover" xD
Usuario desactivado
Falto un escenario: si suspenden la carrera por mal tiempo... Marquez es campeon
Usuario desactivado
que pena, pinta inevitable, espero que no cause tantos daños.
El gp podría ofrecer una lucha por el subcampeonato como platillo consuelo, aunque lo dudo mucho.
Me interesa más la definición de moto3. Me gustan los 3 candidatos, al igual que en 2013.
Usuario desactivado
Con el huracán Ike en Indianapolis hace unos años Rossi dio una exhibición, para lo que iba a ser una mierda de carrera al final la recuerdo de muy buena manera, no me importaría que ocurriese algo parecido con este tifón, aunque después de lo de Bianchi no creo que les tiemble la mano a la hora de suspender la carrera.
Usuario desactivado
las páginas de previsiones meteorológicas indican que probablemente el tifón no toque Suzuka hasta el lunes. igual hasta vemos carreras en seco